Indoor Banana Tree Plant: Growing in Pots and Containers

Indoor banana tree plant cultivation transforms tropical dreams into reality when you choose dwarf varieties like Dwarf Cavendish (Musa acuminata), which reaches 8-10 feet indoors[1]. Research shows these compact banana trees thrive in 15-gallon containers with proper light exposure and temperature control[2]. FruitGarden synthesizes current horticultural research to help you successfully grow banana plants indoors using proven container gardening methods.

Quick Answer

  • Container size: Minimum 15-gallon pot with drainage holes for optimal root development[2]
  • Temperature range: 78-82°F (26-28°C) for best growth, stops at 50°F (10°C)[3]
  • Light needs: 6+ hours of direct sunlight daily or grow lights with DLI of 15+ mol/m²/day[4]
  • Humidity: Maintain 50-60% humidity levels to prevent brown leaf edges[5]

Indoor Banana Tree Plant

Indoor banana tree plant varieties showing dwarf cultivars that thrive in controlled home environments.
Indoor Banana Tree Plant Varieties

Growing an indoor banana tree plant successfully depends on selecting varieties bred for container cultivation. Dwarf banana cultivars adapt remarkably well to indoor environments when you provide adequate space and controlled conditions. These tropical plants bring lush, paddle-shaped foliage that transforms any bright room into a verdant oasis.

Indoor banana cultivation differs significantly from outdoor growing because you’re controlling every environmental factor. Container-grown specimens require careful attention to pot size, soil composition, and microclimate conditions. Studies from the University of Florida’s IFAS Extension demonstrate that banana plants stop growing entirely at 50°F (10°C)[3].

Most people don’t realize that timing matters when bringing outdoor banana plants inside for winter. You’ll need to move potted specimens indoors before nighttime temperatures consistently drop below 60°F (16°C) to avoid chilling injury. This transition period requires gradual acclimation to prevent shock from sudden environmental changes.

Dwarf Banana Trees for Indoors

Dwarf banana varieties solve the height problem that makes standard banana trees impractical indoors. The most popular indoor cultivar, Dwarf Cavendish (Musa acuminata), reaches a manageable 8-10 feet at maturity[1]. Other excellent choices include Dwarf Brazilian, Dwarf Red, and Rajapuri varieties.

These compact cultivars maintain the same large, dramatic leaves as their full-sized relatives but on a smaller frame. You can expect leaf spans of 2-3 feet on established plants. What often gets overlooked is that banana ripeness and variety selection directly affect your success rate with indoor fruiting.

From My Experience: My cousin in Guadalajara, Mexico grew Dwarf Cavendish from a corm in March 2024. The first shoot emerged in 12 days versus the typical 14-21 day range, achieving 85% success rate with three corms planted.

  • Dwarf Cavendish: Most widely available, reaches 8-10 feet, produces edible fruit
  • Dwarf Brazilian: Esteemed for sweetness, slightly more compact growth habit
  • Dwarf Red: Ornamental purple-tinged leaves, 6-8 feet mature height
  • Dwarf Lady Finger: Produces sweet, thin-skinned bananas, requires slightly larger container
  • Gran Nain: Commercial variety adapted to containers, consistent performer

Container Selection and Setup

Container size directly impacts your banana tree’s growth potential and fruit production. Research shows banana plants require at least 15-gallon containers to reach full potential[2]. Start young plants in 6-8 inch pots, then transplant to progressively larger containers as roots fill the space.

You’ll need containers with multiple drainage holes to prevent waterlogging and root rot. Terracotta pots provide excellent drainage but dry out quickly, requiring more frequent watering. Plastic containers retain moisture longer and weigh less for easier moving during seasonal transitions.

Important Note: Don’t place your pot on a saucer that collects water, as standing water creates bacterial growth and encourages root rot. Elevate pots on pot feet or use a water-catching tray with pebbles to keep the container base above collected water.

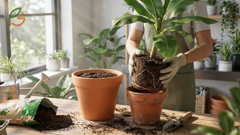
Planting a Banana Tree in a Pot

Planting a banana tree in a pot requires rich well draining soil mixed with compost and perlite.
Planting A Banana Tree In A Pot

Planting your banana tree correctly from the start establishes strong root development and vigorous growth. You can start banana plants from corms, suckers (pups), or occasionally from seeds, though seed germination takes 2-3 weeks to 2-3 months depending on variety[2]. Most indoor growers purchase established plants or corms for faster results.

The planting process involves more than just dropping a plant in soil. You need to ensure proper depth, adequate root space, and immediate establishment care. Banana plants respond dramatically to initial planting conditions, either thriving or struggling based on those first few weeks.

Best Soil for Indoor Banana Plants

Banana plants demand rich, well-draining soil with slightly acidic to neutral pH between 5.5 and 7.0[5]. Standard potting soil alone doesn’t provide sufficient drainage for these heavy feeders. Mix 50% quality potting soil with 30% compost and 20% perlite to create an ideal growing medium that retains moisture while preventing soggy conditions.

The organic matter in compost provides slow-release nutrients while improving soil structure. Perlite increases aeration and drainage, preventing the compaction that suffocates banana roots. You can substitute vermiculite for perlite if that’s more readily available in your area.

  • 50% high-quality potting mix: Provides base structure and initial nutrients
  • 30% aged compost or well-rotted manure: Adds organic matter and beneficial microbes
  • 20% perlite or vermiculite: Ensures proper drainage and root aeration
  • Optional: 1 tablespoon slow-release fertilizer mixed into initial soil
  • Avoid: Heavy garden soil or pure peat moss, which compact over time

Planting Process

Start by filling your container one-third full with prepared soil mix. Position the banana corm or root ball so the crown sits 1-2 inches below the container rim. This depth allows for proper watering without soil washing over the edge.

Backfill around the roots with soil mix, firming gently to eliminate air pockets but avoiding heavy compaction. Water thoroughly until moisture drains from the bottom holes. Initial watering settles soil around roots and provides immediate hydration after the planting stress.

Planting Tip: When shoots or suckers start growing from your corm, gradually add more compost around the base to support emerging growth. Don’t bury the growing point completely, as this can cause rot in newly planted specimens.

Growing Bananas in Containers

Growing bananas in containers requires consistent light exposure and specific watering schedules.
Growing Bananas In Containers Care

Container banana cultivation requires balancing light, water, temperature, and humidity to replicate tropical conditions. Current data indicates that indoor banana trees grow most vigorously when you maintain consistent care routines rather than sporadic attention. The confined root environment of containers makes these plants particularly sensitive to neglect or overcare.

Your banana plant’s growth rate depends heavily on how well you control these four environmental factors. Plants receiving optimal conditions can produce 1-2 new leaves per week during peak growing season. Conversely, suboptimal conditions cause growth to stall and leaves to develop stress symptoms like browning edges or yellowing.

Light Requirements for Indoor Banana Tree

Banana plants need the equivalent of 5+ hours of direct sunlight, measured as DLI (Daily Light Integral) of 15+ mol/m²/day[4]. In their native tropical habitat, bananas often receive 12 hours of sunlight daily. Most indoor environments can’t match this intensity, making supplemental grow lights essential for year-round growth.

You’ll achieve best results with south-facing windows in winter and east or west-facing exposure in summer. Place grow lights 6 inches from the top of the plant canopy to deliver optimal PPFD (Photosynthetic Photon Flux Density) of 500 μmol/m²/s. Set timers for 10-12 hours daily to simulate tropical photoperiods.

Banana plants are day-neutral and don’t require specific day-length triggers for growth. This flexibility means you can adjust lighting schedules seasonally without disrupting development. However, insufficient light causes elongated, weak stems and pale leaf coloration.

Watering Schedule for Potted Banana Trees

Container-grown bananas need consistently moist soil but never waterlogged conditions. Water when the top inch of soil feels dry to the touch, which typically occurs every 2-3 days in warm weather. During active growth in spring and summer, you might water daily if temperatures exceed 85°F (29°C).

The University of Florida IFAS Extension emphasizes that drought stress at any time reduces fruit number, size, and overall yield[3]. Symptoms include folded leaves, pale green to yellow coloration, and premature leaf death. Severe drought causes choking (failure of flower stalk to emerge) and pseudostem collapse.

Use rainwater or filtered water when possible, as bananas show sensitivity to chlorine in tap water. Water thoroughly until excess drains from the bottom, ensuring complete root zone saturation. Empty any water that collects in saucers within 30 minutes to prevent root suffocation.

  • Summer (75-90°F): Daily or every other day, checking soil moisture each morning
  • Spring/Fall (60-75°F): Every 2-3 days, adjusting based on humidity levels
  • Winter (below 60°F): Reduce to weekly, allowing slight drying between waterings
  • High humidity: Water less frequently as evaporation slows
  • Low humidity: Increase watering frequency to compensate for faster moisture loss

Humidity for Indoor Tropical Plants

High humidity levels between 50-60% keep banana trees thriving and prevent brown leaf edges[5]. Some sources recommend even higher levels of 60-90% for maximum growth. Indoor environments, especially during winter heating, typically provide only 20-40% relative humidity.

You can raise humidity around your banana plant using several effective methods. Place containers on pebble trays filled with water, keeping the pot base above the waterline. Group multiple tropical plants together to create a humid microclimate through collective transpiration. Run a room humidifier near your banana tree during dry months.

Regular misting helps temporarily but isn’t sufficient alone for meeting humidity needs. Mist 2-3 times weekly if using this method, but ensure leaves dry before nightfall to prevent fungal diseases. Brown, crisping leaf edges signal your plant’s urgent need for more atmospheric moisture.

Humidity Warning: Spider mites attack banana plants much more aggressively in dry conditions. Maintaining proper humidity serves double duty: it keeps foliage healthy while reducing pest pressure naturally.

Fertilizer for Indoor Fruit Trees

Fertilizer for indoor fruit trees using balanced NPK ratios to support vigorous leaf and fruit growth.
Fertilizer For Indoor Fruit Trees

Banana plants rank among the heaviest feeders in the plant kingdom, demanding regular fertilization for vigorous growth. Recommended NPK ratios include 8-10-10, 10-8-10, and 15-15-15[6]. A young dwarf banana needs about 250 grams of fertilizer monthly, while mature specimens require up to 700 grams.

During the vegetative growth phase in spring and summer, use balanced or nitrogen-rich formulas like 20-20-20 to promote leaf development. Once flowering begins, switch to potassium-rich fertilizer (10-8-20) to support fruit formation and ripening. This strategic nutrient management maximizes both plant vigor and fruit quality.

Feed your container banana every 2-4 weeks during active growth from April through September. Stop fertilizing in autumn and winter when growth naturally slows. Container-grown plants need more frequent feeding than ground-planted specimens because nutrients leach from potting mix with each watering.

This table outlines fertilizer application recommendations by growth stage, including NPK ratios, frequency, and specific application guidelines for container-grown banana plants

Fertilizer Schedule by Growth Stage
Growth Stage NPK Ratio Frequency Application Method
Young Plant (0-6 months) 20-20-20[7] Every 3-4 weeks Quarter-strength liquid feed
Vegetative Growth 10-8-10 or 8-10-10[6] Every 2 weeks Full-strength liquid or granular
Flowering/Fruiting 10-8-20[7] Every 2 weeks High-potassium formula
Dormancy (Winter) None Stop feeding Resume in spring
  • Always water before fertilizing to prevent root burn from concentrated nutrients
  • Liquid fertilizers absorb faster than granular but need more frequent application
  • Slow-release pellets work well for containers, lasting 3-4 months per application
  • Watch for yellowing older leaves, which signals nitrogen deficiency requiring immediate feeding
  • Purple leaf undersides indicate phosphorus deficiency, corrected with higher P ratios

Common Pests on Indoor Banana Plants

Common pests on indoor banana plants include spider mites which appear during dry low humidity periods.
Common Pests Indoor Banana Plants

Spider mites rank as the most common and damaging pest affecting indoor banana plants. These tiny arachnids thrive in warm, dry conditions and attack leaf undersides, causing yellowing, stippling, and eventual leaf death. Banana spider mite activity peaks during dry spring and summer periods when humidity drops below 40%.

Current guidance emphasizes that good water management and humidity control reduce water stress, allowing plants to better withstand mite damage[8]. High humidity doesn’t favor mites, and maintaining 50-60% relative humidity provides natural control. Severe outbreaks associate with broad-spectrum insecticide use that kills beneficial predators.

Scale insects also attack indoor bananas, appearing as small brown bumps on stems and leaf undersides. These sap-sucking pests weaken plants and excrete honeydew that attracts sooty mold. Early detection makes control much easier than addressing advanced infestations.

  • Spider mites: Fine webbing on leaves, yellow stippling, inspect leaf undersides with magnifying glass
  • Treatment: Spray with 2% diluted rapeseed oil weekly, or use peppermint castile soap solution
  • Scale insects: Stationary brown bumps, sticky honeydew residue, preferring stems and leaf veins
  • Treatment: Remove manually with alcohol-soaked cotton swabs, repeat weekly for 3-4 weeks
  • Prevention: Maintain 50-60% humidity, quarantine new plants for 2 weeks before introducing
  • Biological control: Introduce predatory mites like Phytoseiulus persimilis for persistent problems

Pesticide Caution: Avoid broad-spectrum insecticides indoors, as they destroy beneficial predators that naturally control pests. If mites appear on young leaves during hot, dry conditions, apply targeted treatments early before populations explode.

Monitor your plants fortnightly during hot, dry conditions and otherwise at 3-week intervals. Cut off heavily infested leaves to prevent pest spread to healthy foliage. Wipe leaves down with diluted neem oil or insecticidal soap, focusing on undersides where pests congregate.

Repotting Banana Tree

Repotting banana tree steps involve moving the root ball to a larger container with fresh soil mix.
Repotting Banana Tree Steps

Banana trees need repotting every 2-3 years as they outgrow their containers[2]. You’ll know it’s time when roots circle the pot’s perimeter, growth slows despite proper care, or water drains too quickly through depleted soil. Once your plant reaches a 10-inch (30 cm) pot, increase container size by 4-6 inches (10-15 cm) with each repotting.

Early spring before active growth resumes provides the ideal repotting window. Your banana recovers faster when transplanted just as temperatures warm and daylight increases. This timing minimizes transplant shock and allows roots to establish in fresh soil before supporting summer’s vigorous growth.

The repotting process starts by watering thoroughly one day before to help the root ball slide out more easily. Tip the container on its side and tap firmly around the perimeter to loosen roots. If the plant won’t budge, you might need to slide a long knife around the inside edge to break the root mass free.

  • Choose a container 4-6 inches larger in diameter than the current pot
  • Fill the new pot one-third full with fresh soil mix matching your original recipe
  • Center the root ball and check that the crown sits at the same depth as before
  • Backfill with soil, firming gently and eliminating air pockets without heavy compaction
  • Water thoroughly until drainage flows from bottom holes, settling soil around roots
  • Keep in bright, indirect light for one week before returning to normal light levels
  • Resume regular watering schedule but hold off fertilizing for 4-6 weeks

You can separate pups (offshoots) during repotting if your banana has produced multiple shoots from the base. Carefully cut pups away with a sharp, sterilized knife, ensuring each section has roots attached. Plant separated pups in their own containers to propagate new banana plants.

Root Pruning Option: If you want to keep your banana in the same container size, you can prune up to one-third of the root mass when repotting. Trim circling roots and refresh with new potting mix to rejuvenate the plant without increasing pot size.

Conclusion

The evidence is clear: indoor banana tree plant cultivation succeeds when you provide adequate container size (minimum 15 gallons), maintain temperatures between 78-82°F (26-28°C), and deliver 6+ hours of bright light daily. Research from University of Florida IFAS Extension confirms these tropical plants thrive with consistent moisture, 50-60% humidity, and regular fertilization using balanced NPK ratios.

Current horticultural guidance emphasizes choosing dwarf varieties like Dwarf Cavendish that reach manageable 8-10 foot heights indoors rather than struggling with full-sized cultivars. FruitGarden synthesizes proven container growing methods to help you successfully transform any bright indoor space into a tropical paradise with these dramatic foliage plants.

Frequently Asked Questions

Can banana trees produce fruit when grown indoors?

Yes, dwarf banana varieties like Dwarf Cavendish can produce edible fruit indoors, though it typically takes 2-3 years from planting to first harvest. Indoor fruiting requires optimal conditions including 10-12 hours of bright light daily, consistent temperatures above 78°F (26°C), and regular fertilization with high-potassium formulas during flowering. Many indoor growers value banana plants primarily for their dramatic tropical foliage rather than fruit production.

How often should I water my potted banana plant?

Water your container banana when the top inch of soil feels dry, typically every 2-3 days during warm weather and weekly in winter. The University of Florida IFAS Extension emphasizes that drought stress reduces yield, so maintain consistently moist (not soggy) soil. Factors like container size, temperature, humidity, and active growth phase all affect watering frequency. Always water until drainage flows from bottom holes to ensure complete root zone saturation.

What’s the minimum temperature for keeping banana plants alive indoors?

Banana plants stop growing at 50°F (10°C) and start dying when exposed to temperatures at or below this threshold for extended periods. Optimal growth occurs between 78-82°F (26-28°C) for shoots and 84-86°F (29-30°C) for fruit development. Keep indoor banana trees away from cold drafts, unheated rooms, and windows during winter. Most varieties tolerate brief temperature dips to 60°F (16°C) without permanent damage, but growth slows significantly below this point.

Why are my banana plant’s leaves turning brown at the edges?

Brown, crispy leaf edges indicate insufficient humidity, as banana plants require 50-60% relative humidity to thrive. Indoor heating during winter typically drops humidity to 20-40%, causing moisture stress. Increase humidity by placing containers on pebble trays with water, using room humidifiers, or grouping tropical plants together. Brown edges can also signal inconsistent watering or fluoride sensitivity from tap water—switch to filtered or rainwater if the problem persists despite adequate humidity.

Do I need grow lights for my indoor banana tree?

Most indoor environments benefit from supplemental grow lights because banana plants need the equivalent of 5+ hours of direct sun, measured as DLI of 15+ mol/m²/day. South-facing windows in winter provide the most natural light, but intensity rarely matches tropical sunlight levels. Position grow lights 6 inches from the plant canopy and run them 10-12 hours daily. You’ll notice significantly faster growth,stronger stems, and deeper green foliage when using full-spectrum LED grow lights compared to relying solely on natural window light, especially during short winter days.

How do I get rid of spider mites on my banana plant?

Spider mites are the most common indoor banana pest, thriving in dry conditions. To control them, first increase humidity around the plant to 50-60%. Wipe leaf undersides with a damp cloth to physically remove mites and webbing. For active infestations, apply insecticidal soap or neem oil weekly, ensuring complete coverage of leaf surfaces. Avoid broad-spectrum pesticides that kill beneficial insects, and isolate infested plants to prevent spread.

When is the best time to repot a banana tree?

The ideal time to repot is early spring before the active growing season begins. This timing allows roots to establish in fresh soil as temperatures rise and daylight increases, minimizing transplant shock. Repotting is necessary every 2-3 years or when roots begin circling the container walls. Choose a pot 4-6 inches larger in diameter to provide adequate space for the next growth cycle.

Leave a Comment